皆様こんにちは

本日から師走、今年も残り1ヶ月となりましたね。

毎年言っていますが本当に1年が早いですね、個人的には年始に立てた目標や、やりたい事、やるべき事、どれだけできているんだろうと反省ですが

まだ残り1か月ありますからね、最後まで全力で頑張ります🤼

美容皮膚科では年末にむけて今年最後の美容治療を受けに来ていただく方が多くなってまいりました。

本当にお肌のお手入れのようなダウンタイムのない治療から、ヒアルロン酸、糸リフトまで皆様、多種多様、ご希望にあわせて受けていただいています。

治療を受けられた皆様 いかがでしたでしょうか?

当院での治療が皆様の生活に彩りを与えられたらいいなといつも願っています🪄来年も気になることがあればいつでも相談しにきてくださいね。

また、今まで美容気になっていたけれど、なかなか機会がなかったという方も今からでも間に合います👩‍🔬

これから行事なども多くなる時期ですので、その前に何かお手入れしたいとか、年末年始の前に治療したいとか、来年の美容相談したいとか

どのようなことでもお気軽にご相談にいらしてください。

治療によってはダウンタイムがある施術もありますので、ご予定がある場合はお早めにご相談いただけるとよいと思います。

皆様からのご予約 お電話スタッフ一同お待ちしています✨

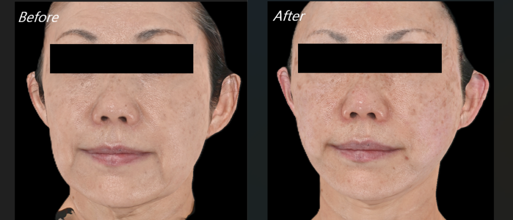
当院人気治療 糸リフトの症例です

※MWデュアル糸リフト(ダイナミックリフト)両側17本
施術の説明:PCL(ポリカプロラクタン)と呼ばれる吸収される糸を使用した糸リフトです。1~2年かけて吸収されるため、リフトアップ効果が高く長持ちします。
施術のリスク・副作用:痛み、腫れ、浮腫み、内出血、局所麻酔により一時的な麻痺
施術の価格:ダイナミックリフト(合計17本) 451,000円(税込)
笑気麻酔のオプションもございます。30分 11,000円(税込)

糸リフトは本数によってお値段が変わります。 カウンセリングによって本数決定いたします