コンテンツへスキップ ナビゲーションに移動

名古屋市中川区の皮膚科・美容皮膚科・内科ならうえだ皮膚科内科八田院へ

ご予約・お問い合わせ
うえだ皮膚科内科 八田院
  • HOMEトップページ
  • CLINIC医院紹介
    • クリニック紹介
    • 医師紹介
    • はじめての方へ
  • ACCESS診療時間・アクセス
  • PRICE料金一覧
  • 美容皮膚科Beauty
    • 美容皮膚科TOP
    • 治療一覧
    • 症例写真
    • おすすめ美容治療
    • WEB予約
    • モニター募集
    • キャンセル規定
  • 皮膚科Dermatology
    • 皮膚科TOP
    • 治療一覧
    • WEB予約
  • 症例写真CASE PHOTO
メディア
  1. トップページ
  2. case_126_hyaluronic
  3. case_126_hyaluronic

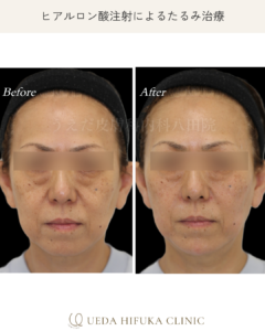
case_126_hyaluronic

2025年4月17日 最終更新日時 : 2025年4月17日 エスフィールド佐藤

皮膚科のご予約方法
求人情報 医師/看護師/美容カウンセラー
皮膚科・内科 
美容皮膚科 

公式LINE

公式Instagram

院長ブログ

スタッフブログ

皮膚科・内科WEB予約 
美容皮膚科WEB予約 

当院はカスタマイズ治療研究会 認定施設です

美容皮膚科

Beauty Dermatology

丁寧なカウンセリングを行い、おひとりおひとりの望みが叶えられるように治療方針をたてています

美容皮膚科TOP
美容皮膚科月火水木金土
9:30~12:30●/●●●▲
14:00~18:00●/●●●/
▲:土曜は9:00~16:00 休診日:火曜・日曜・祝日

皮膚科

Dermatology

皮膚科専門医による痛みの少ない治療・施術をご提供しています

皮膚科TOP
皮膚科月火水木金土
9:30~12:30●/●●●▲
15:00~18:30●/●●●/
▲:土曜は9:00~13:00 休診日/火曜・日曜・祝日

皮膚科 混雑カレンダー

●空いています ●やや空いています 

●やや混雑 ●混雑 ×休診

スクロールできます
9:00-9:30-10:00-10:30-11:00-11:30-12:00-12:30-13:00-15:00-15:30-16:00-16:30-17:00-17:30-18:00-
月×●●●●●●××●●●●●●●月
水×●●●●●●××●●●●●●●水
木×●●●●●●××●●●●●●●木
金×●●●●●●××●●●●●●●金
土●●●●●●●●××××××××土

イボ・ニキビ治療の方は「空いている」または「やや混雑」の日の受診をお勧めいたします

〒454-0902
名古屋市中川区花池1丁目1番
MY八田ビル2F

地下鉄東山線・JR関西本線「八田駅」徒歩1分
近鉄名古屋線「八田駅」徒歩2分
市バス「八田駅」徒歩1分

皮膚科:052-353-4112
美容皮膚科:052-354-5586

診療・カウンセリング予約

ACCESS MAP

駐車場のご案内

FOLLOW US

  • トップページ
  • クリニック紹介
  • 医師紹介
  • はじめての方へ
  • 予約について
  • 診療時間・アクセス
  • 求人募集
  • よくあるご質問
  • お知らせ
  • 業者さまからのお問合せ
  • 院長ブログ
  • スタッフブログ
  • サイトマップ

  • 保険診療(皮膚科)

アトピー性皮膚炎|乾燥肌|じんましん|かぶれ|にきび|酒さ|赤ら顔|いぼ|ほくろ|粉瘤|円形脱毛症|巻き爪|水虫|帯状疱疹|乾癬|白斑|やけど|多汗症|うおのめ|花粉症|光線療法|赤色LED光治療|皮膚科のWEB予約方法|皮膚科のお知らせ

  • 自由診療(美容皮膚科)

おすすめ美容治療|肌育治療|各種ピーリング|各種導入治療|しみ|そばかす|肝斑|しわ|たるみ|目のくま|にきび|にきびあと|毛穴|小顔|レーザー脱毛|薄毛|カスタマイズ治療|うえだ式コンビネーション糸リフト|HIFU|ECM製剤|ヒアルロン酸|ボトックス|ドクターズコスメ|症例写真|料金表|美容皮膚科WEB予約|美容皮膚科のお知らせ|モニター募集

  • 注目のキーワード

HIFU(ハイフ) (26) 【症例】しわ・ハリ (22) 【症例】たるみ・リフトアップ (26) たるみ (41) スキンケア (37) ヒアルロン酸 (42) ボトックス (34) 症例写真ブログ (30) 糸リフト (41) 美肌 (43)

Copyright © うえだ皮膚科内科八田院. All Rights Reserved.

皮膚科

Dermatology

052-353-4112

美容皮膚科

Beauty dermatology

052-354-5586

  • トップページ
  • クリニック紹介
    • 医師紹介
    • はじめての方へ
  • 診療時間・アクセス
  • 料金一覧
  • 美容皮膚科
    • 治療一覧
    • 症例写真
    • おすすめ美容治療
    • WEB予約
    • キャンセル規定
  • 皮膚科(保険診療)
    • 治療一覧
    • WEB予約方法
  • 症例写真
  • お知らせ
  • 院長ブログ
  • スタッフブログ

FOLLOW US

  • MENU
  • HOME
  • 予約
  • 診療時間
  • アクセス
PAGE TOP